CARVIN

← Back to list
2025 HONDA ACCORD
VIN 1HGCY1F48SA076473
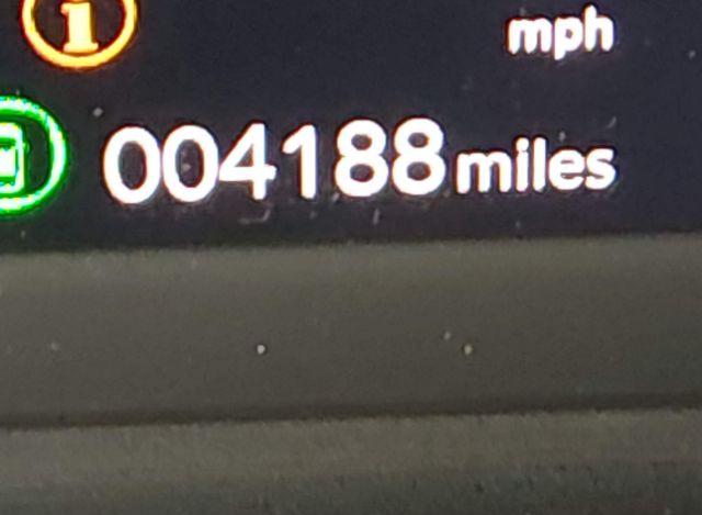
Odometer
4,188 mi (Actual)
Color
BLUE
Primary Damage
Right Side
Title State
MD
Title Type
SALVAGE - 75% OR LESS

Vehicle Description

ModelACCORD
Engine1.5L I-4 DI, DOHC, VVT, TURBO, 192HP
SeriesSE
OptionsConsole Display
VehicleAutomobile
FuelTypeGasoline
BodyStyleSEDAN
Cylinders4 Cylinders
TransmissionAutomatic Transmission
VehicleClassSedan
DriveLineTypeFront Wheel Drive
ManufacturedInUnited States
RestraintSystemFront impact airbag driver;Front side impact airbag driver;Overhead airbags;Front impact airbag passenger;Front side impact airbag passenger;Knee airbag;Rear side impact airbag
ExteriorInteriorBlue/ Unknown

Vehicle Information

LossCollision
AirbagsDeployed
Odometer4,188 mi (Actual)
StartCodeRun & Drive
StockHash44404088
KeySlashFobPresent
TitleSaleDocSALVAGE - 75% OR LESS (Maryland)
PrimaryDamageRight Side
SellingBranchBaltimore (MD)
TitleSaleDocBrandSALVAGE - 75% OR LESS