CARVIN

← Back to list
2022 KIA FORTE
VIN 3KPF24AD7NE451017
Odometer
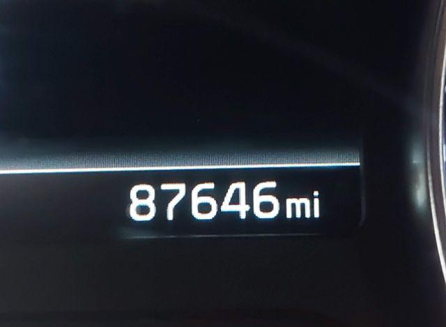
87,646 mi (Actual)
Color
BLACK
Primary Damage
Right Front
Title State
MS
Title Type

Vehicle Description

ModelFORTE
Engine2.0L I-4 DOHC, VVT, 147HP
SeriesFE
OptionsConsole Display, Radio
VehicleAutomobile
FuelTypeGasoline
BodyStyleSEDAN
Cylinders4 Cylinders
TransmissionAutomatic Transmission
VehicleClassSedan
DriveLineTypeFront Wheel Drive
ManufacturedInMexico
RestraintSystemFront impact airbag driver;Front side impact airbag driver;Overhead airbags;Front impact airbag passenger;Front side impact airbag passenger
ExteriorInteriorBlack/ Black

Vehicle Information

LossCollision
WheelStandard Wheels
AirbagsIntact
Odometer87,646 mi (Actual)
StartCodeRun & Drive
StockHash43685002
KeySlashFobPresent
TitleSaleDocSALVAGE (Mississippi)
PrimaryDamageRight Front
SellingBranchGrenada (MS)
SecondaryDamageRight Side