CARVIN

← Back to list
2022 KIA FORTE
VIN 3KPF44AC5NE424304
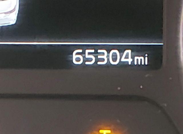
Odometer
65,304 mi (Actual)
Color
WHITE
Primary Damage
Rear
Title State
OH
Title Type

Vehicle Description

ModelFORTE
Engine1.6L I-4 DI, DOHC, VVT, TURBO, 201HP
SeriesGT MANUAL
OptionsConsole Display, Radio
VehicleAutomobile
FuelTypeGasoline
BodyStyleSEDAN
Cylinders4 Cylinders
TransmissionManual Transmission
VehicleClassSedan
DriveLineTypeFront Wheel Drive
ManufacturedInMexico
RestraintSystemFront impact airbag driver;Front side impact airbag driver;Overhead airbags;Front impact airbag passenger;Front side impact airbag passenger
ExteriorInteriorWhite/ Black

Vehicle Information

LossCollision
WheelAlloy Wheels
AirbagsIntact
Odometer65,304 mi (Actual)
StartCodeRun & Drive
StockHash44389933
KeySlashFobPresent
TitleSaleDocSALVAGE (Ohio)
PrimaryDamageRear
SellingBranchColumbus (OH)
SecondaryDamageFront End