CARVIN

← Back to list
2023 RAM 2500
VIN 3C6UR5CL1PG603241
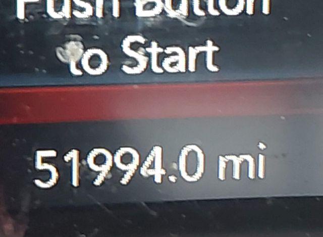
Odometer
51,994 mi (Actual)
Color
MAROON
Primary Damage
Front End
Title State
NY
Title Type

Vehicle Description

Model2500
Engine6.7L I-6 DI, TURBO, 370HP
OptionsConsole Display
VehicleAutomobile
FuelTypeDiesel
BodyStyleCREW CAB
Cylinders6 Cylinders
TransmissionAutomatic Transmission
VehicleClassTruck
DriveLineType4X4 Drive
ManufacturedInMexico
RestraintSystemFront impact airbag driver;Front side impact airbag driver;Overhead airbags;Front impact airbag passenger;Front side impact airbag passenger
ExteriorInteriorMaroon/ Unknown

Vehicle Information

LossCollision
AirbagsDeployed
Odometer51,994 mi (Actual)
StartCodeStationary
StockHash44673952
KeySlashFobPresent
TitleSaleDocMV-907A (New York)
PrimaryDamageFront End
SellingBranchSyracuse (NY)
SecondaryDamageLeft & Right Side