CARVIN

← Back to list
2022 NISSAN ALTIMA
VIN 1N4BL4DW4NN353136
Odometer
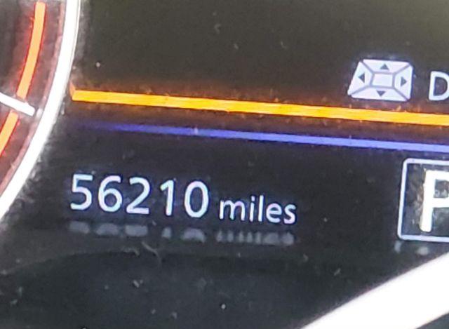
56,210 mi (Actual)
Color
BLACK
Primary Damage
Rear
Title State
NY
Title Type
OPEN LIEN

Vehicle Description

ModelALTIMA
Engine2.5L I-4 DI, DOHC, VVT, 182HP
SeriesSV INTELLIGENT AWD
OptionsConsole Display
VehicleAutomobile
FuelTypeGasoline
BodyStyleSEDAN
Cylinders4 Cylinders
TransmissionAutomatic Transmission
VehicleClassSedan
DriveLineTypeAll Wheel Drive
ManufacturedInUnited States
RestraintSystemFront impact airbag driver;Front side impact airbag driver;Overhead airbags;Front impact airbag passenger;Front side impact airbag passenger;Knee airbag;Rear side impact airbag
ExteriorInteriorBlack/ Unknown

Vehicle Information

LossCollision
AirbagsIntact
Odometer56,210 mi (Actual)
StartCodeRun & Drive
StockHash44572472
KeySlashFobPresent
TitleSaleDocMV-907A (New York)
PrimaryDamageRear
SellingBranchSyracuse (NY)
SecondaryDamageLeft Front
TitleSaleDocBrandOPEN LIEN
TitleSaleDocNotesOPEN LIEN