CARVIN

← Back to list
2025 LEXUS ES 300H
VIN 58ADA1C16SU069817
Odometer
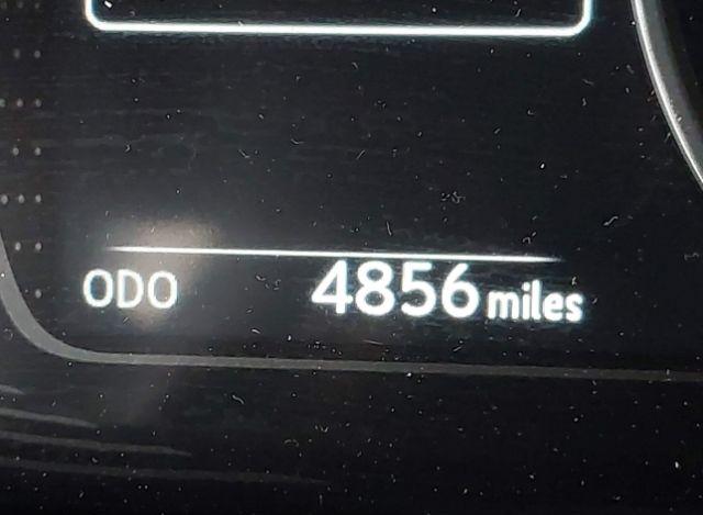
4,856 mi (Actual)
Color
BLACK
Primary Damage
Right Front
Title State
CA
Title Type

Vehicle Description

ModelES 300H
Engine2.5L I-4 DI, DOHC, VVT, 176HP
OptionsConsole Display, Radio
VehicleAutomobile
FuelTypeOther
BodyStyleSEDAN
Cylinders4 Cylinders
TransmissionAutomatic Transmission
VehicleClassSedan
DriveLineTypeFront Wheel Drive
ManufacturedInUnited States
RestraintSystemFront impact airbag driver;Front side impact airbag driver;Overhead airbags;Front impact airbag passenger;Front side impact airbag passenger;Knee airbag;Rear side impact airbag
ExteriorInteriorBlack/ Black

Vehicle Information

LossCollision
WheelAlloy Wheels
AirbagsDeployed
Odometer4,856 mi (Actual)
StartCodeRun & Drive
StockHash44222537
KeySlashFobPresent
TitleSaleDocSALVAGE (California)
PrimaryDamageRight Front
SellingBranchNorth Hollywood (CA)
SecondaryDamageSuspension