CARVIN

← Back to list
2023 KIA FORTE
VIN 3KPF54AD6PE649775
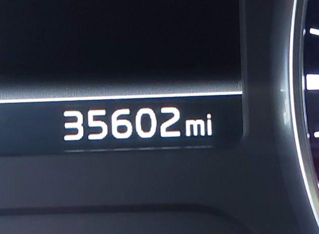
Odometer
35,602 mi (Actual)
Color
WHITE
Primary Damage
Left Side
Title State
CA
Title Type

Vehicle Description

ModelFORTE
Engine2.0L I-4 DOHC, VVT, 147HP
SeriesGT-LINE
OptionsConsole Display
VehicleAutomobile
FuelTypeGasoline
BodyStyleSEDAN
Cylinders4 Cylinders
TransmissionAutomatic Transmission
VehicleClassSedan
DriveLineTypeFront Wheel Drive
ManufacturedInMexico
RestraintSystemFront impact airbag driver;Front side impact airbag driver;Overhead airbags;Front impact airbag passenger;Front side impact airbag passenger
ExteriorInteriorWhite/ Unknown

Vehicle Information

LossCollision
AirbagsDeployed
Odometer35,602 mi (Actual)
StartCodeRun & Drive
StockHash44642255
KeySlashFobPresent
TitleSaleDocSALVAGE (California)
PrimaryDamageLeft Side
SellingBranchNorth Hollywood (CA)