CARVIN

← Back to list
2024 BMW M3
VIN WBS43AY01RFS41684
Odometer
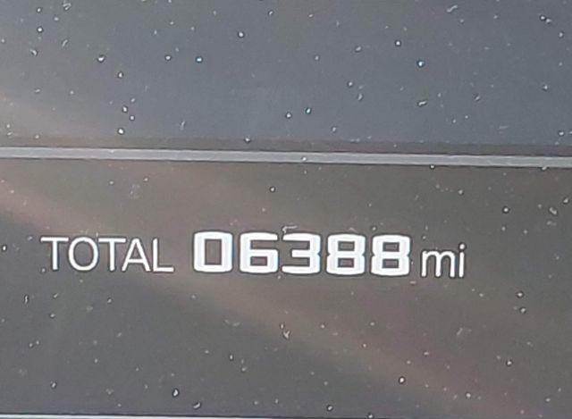
6,388 mi (Actual)
Color
GREEN
Primary Damage
Front & Rear
Title State
GA
Title Type

Vehicle Description

ModelM3
Engine3.0L I-6 DI, DOHC, VVT, TURBO, 543HP
SeriesCOMPETITION XDRIVE
OptionsConsole Display
VehicleAutomobile
FuelTypeGasoline
BodyStyleSEDAN
Cylinders6 Cylinders
TransmissionAutomatic Transmission
VehicleClassSedan
DriveLineTypeAll Wheel Drive
ManufacturedInGermany
RestraintSystemFront impact airbag driver;Front side impact airbag driver;Overhead airbags;Front impact airbag passenger;Front side impact airbag passenger;Knee airbag
ExteriorInteriorGreen/ Unknown

Vehicle Information

LossCollision
AirbagsDeployed
Odometer6,388 mi (Actual)
StartCodeStationary
StockHash44012995
KeySlashFobPresent
TitleSaleDocSALVAGE (Georgia)
PrimaryDamageFront & Rear
SellingBranchAtlanta North (GA)
SecondaryDamageUndercarriage