CARVIN

← Back to list
2025 HONDA ACCORD
VIN 1HGCY1F49SA060234
Odometer
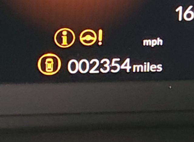
2,354 mi (Actual)
Color
GRAY
Primary Damage
Left & Right Side
Title State
MA
Title Type

Vehicle Description

ModelACCORD
Engine1.5L I-4 DI, DOHC, VVT, TURBO, 192HP
SeriesSE
OptionsConsole Display
VehicleAutomobile
FuelTypeGasoline
BodyStyleSEDAN
Cylinders4 Cylinders
TransmissionAutomatic Transmission
VehicleClassSedan
DriveLineTypeFront Wheel Drive
ManufacturedInUnited States
RestraintSystemFront impact airbag driver;Front side impact airbag driver;Overhead airbags;Front impact airbag passenger;Front side impact airbag passenger;Knee airbag;Rear side impact airbag
ExteriorInteriorGray/ Unknown

Vehicle Information

LossOther
AirbagsDeployed
Odometer2,354 mi (Actual)
StartCodeRun & Drive
StockHash44716702
KeySlashFobPresent
TitleSaleDocCLEAR (Massachusetts)
PrimaryDamageLeft & Right Side
SellingBranchTaunton (MA)
SecondaryDamageSuspension