CARVIN

← Back to list
2023 KIA SOUL
VIN KNDJ23AU4P7189657
Odometer
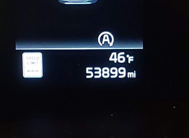
53,899 mi (Actual)
Color
GRAY
Primary Damage
Front & Rear
Title State
ID
Title Type

Vehicle Description

ModelSOUL
Engine2.0L I-4 DOHC, VVT, 147HP
SeriesLX
OptionsConsole Display
VehicleAutomobile
FuelTypeGasoline
BodyStyleHATCHBACK
Cylinders4 Cylinders
TransmissionAutomatic Transmission
VehicleClassHatchback/Crossover
DriveLineTypeFront Wheel Drive
ManufacturedInSouth Korea
RestraintSystemFront impact airbag driver;Front side impact airbag driver;Overhead airbags;Front impact airbag passenger;Front side impact airbag passenger
ExteriorInteriorGray/ Unknown

Vehicle Information

LossCollision
AirbagsIntact
Odometer53,899 mi (Actual)
StartCodeRun & Drive
StockHash44081117
KeySlashFobPresent
TitleSaleDocSALVAGE (Idaho)
PrimaryDamageFront & Rear
SellingBranchRochester (NY)