CARVIN

← Back to list
2022 KIA FORTE
VIN 3KPF24AD1NE416795
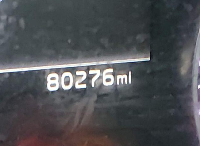
Odometer
80,276 mi (Actual)
Color
BLUE
Primary Damage
Left Side
Title State
NM
Title Type

Vehicle Description

ModelFORTE
Engine2.0L I-4 DOHC, VVT, 147HP
SeriesLXS
OptionsConsole Display
VehicleAutomobile
FuelTypeGasoline
BodyStyleSEDAN
Cylinders4 Cylinders
TransmissionAutomatic Transmission
VehicleClassSedan
DriveLineTypeFront Wheel Drive
ManufacturedInMexico
RestraintSystemFront impact airbag driver;Front side impact airbag driver;Overhead airbags;Front impact airbag passenger;Front side impact airbag passenger
ExteriorInteriorBlue/ Unknown

Vehicle Information

LossCollision
AirbagsDeployed
Odometer80,276 mi (Actual)
StartCodeRun & Drive
StockHash44493382
KeySlashFobPresent
TitleSaleDocSALVAGE (New Mexico)
PrimaryDamageLeft Side
SellingBranchAlbuquerque (NM)
SecondaryDamageFront End